الصين تصدر إنذارًا باللون الأزرق لمواجهة الإعصار “فنغشن”

بكين – واس:
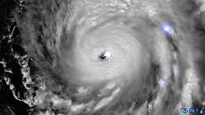
أصدرت الصين إنذارًا باللون الأزرق لمواجهة الإعصار “فنغشن”، وهو الإعصار الـ24 لهذا العام، وسط ازدياد شدته وتوقعات بأن يجلب معه رياحًا قوية وأمطارًا غزيرة على أجزاء من المناطق الجنوبية بالبلاد.
وبحسب المركز الوطني للأرصاد الجوية، وقع الإعصار فوق المياه قبالة الساحل الغربي لجزيرة لوزون في الفلبين، تصحبه رياح تبلغ سرعتها القصوى 72 كيلومترًا في الساعة بالقرب من مركزه، ومن المتوقع أن يتحرك الإعصار باتجاه الشمال الغربي بسرعة تتراوح بين 25 و30 كيلومترًا في الساعة، مع ازدياد تدريجي في شدته، ثم سيتجه نحو الجنوب الغربي فوق الأجزاء الوسطى والشمالية من بحر الصين الجنوبي، متجهًا نحو الساحل الأوسط لفيتنام قبل أن تضعف شدته تدريجيًا.
وتوقّع المركز بأن تؤثر العواصف العاتية الناجمة عن الإعصار في مناطق تشمل أجزاء من بحر الصين الشرقي ومضيق تايوان وبحر الصين الجنوبي، إضافة إلى المناطق الساحلية في مقاطعات تشجيانغ وفوجيان وقوانغدونغ.
يُذكر أن لدى الصين نظامًا للتحذير من الأعاصير مؤلفًا من أربعة مستويات مرمزة بالألوان، حيث يمثل اللون الأحمر أشدها خطورة، يليه البرتقالي، ثم الأصفر فالأزرق.




